조황관리HOME / 조황관리 / 상세정보

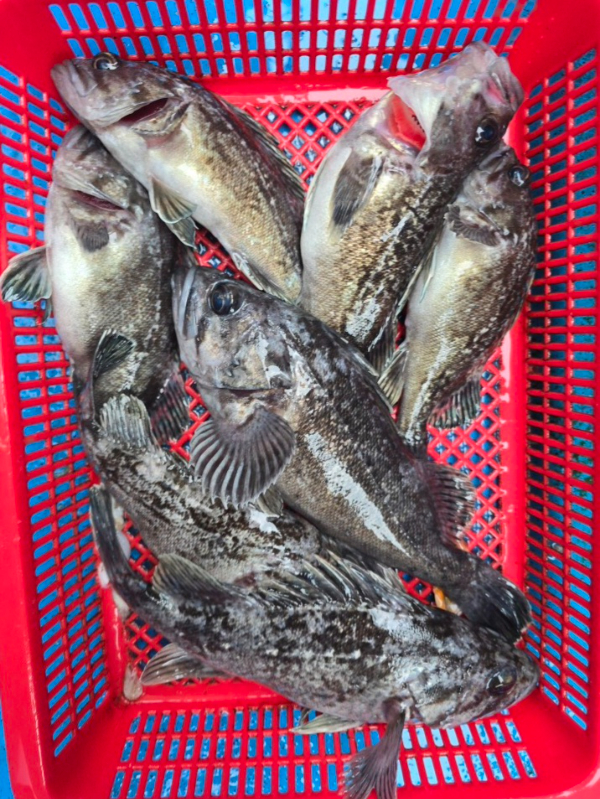
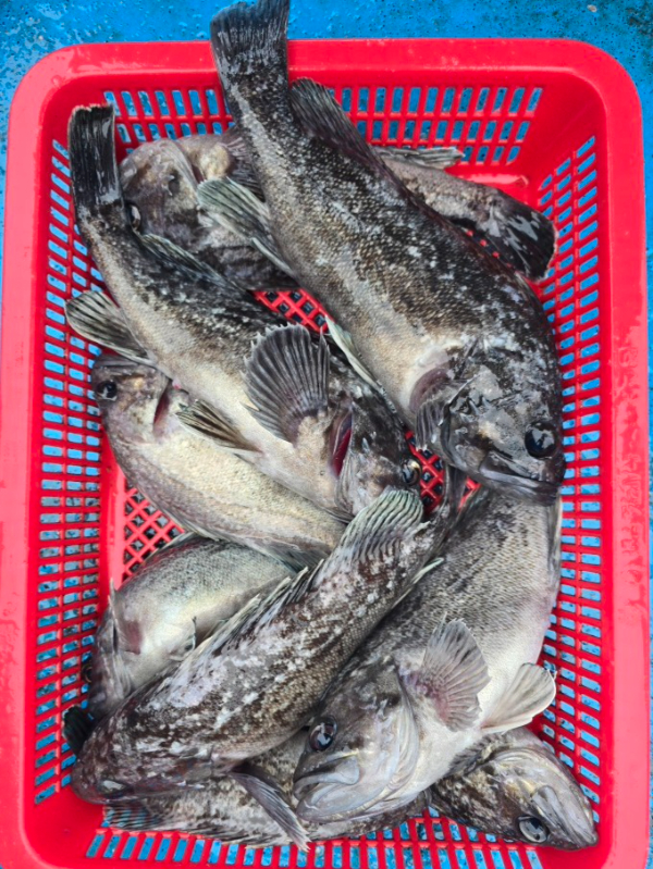
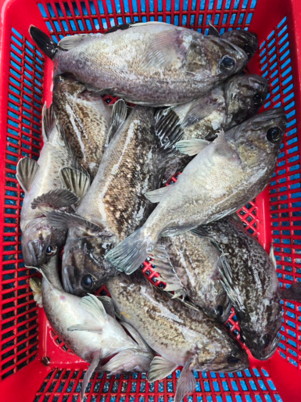
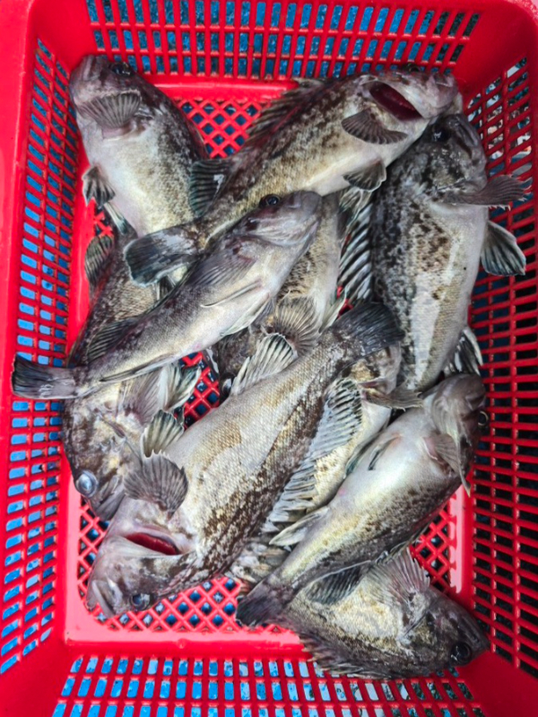
제목 : 12월27일 조황입니다
등록일 : 2025-12-27



수고하셨습니다~^♡^
1766827001117.jpg


1766826994875.jpg


1766826994839.jpg


1766826994021.jpg


1766826993944.jpg


1766826994177.jpg


1766826994517.jpg


1766826994562.jpg


1766826994390.jpg


1766826994745.jpg


1766826994699.jpg


1766826994125.jpg


1766826994276.jpg


1766826994443.jpg


1766826994611.jpg


1766826994073.jpg


1766826993506.jpg


1766826993301.jpg


1766826993450.jpg


1766826993626.jpg


1766826993744.jpg


1766826993866.jpg


1766826993369.jpg


1766826993570.jpg


1766826993810.jpg


1766826993686.jpg


1766826993094.jpg



=== 오이도 빨강등대호 예약안내 ===


예약문의 : 010-7742-5288

오시는길 : 경기 시흥시 정왕동 2377 

홈페이지 : http://redlight.sunsang24.com/


모바일_1.jpg 


Top