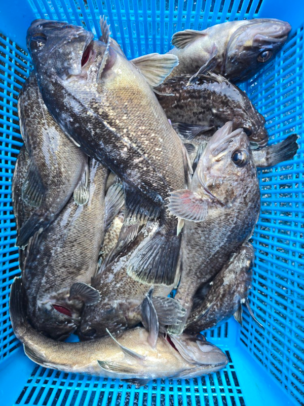
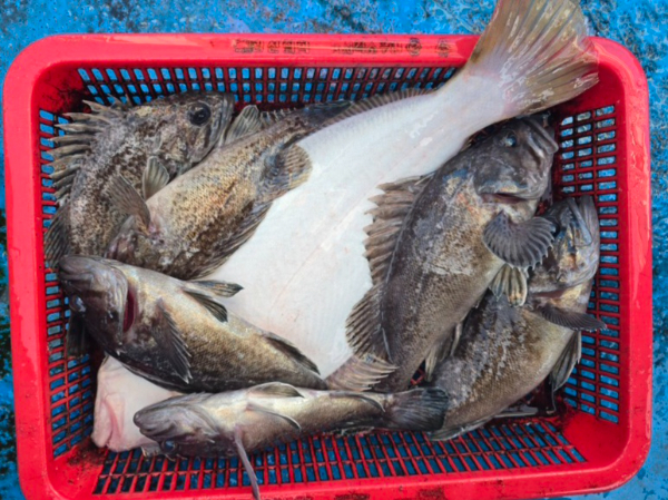
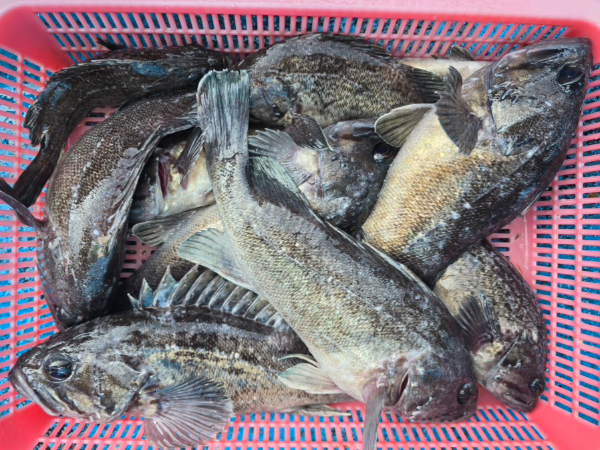
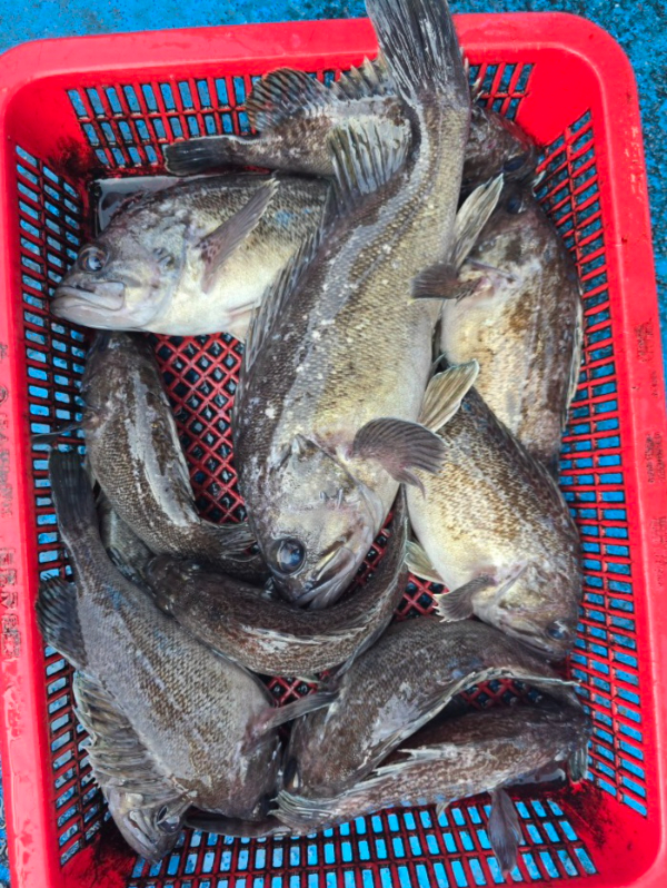
조황관리HOME / 조황관리 / 상세정보

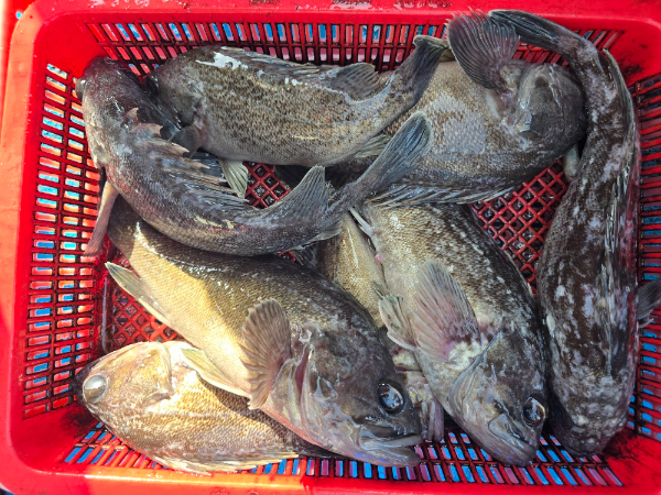
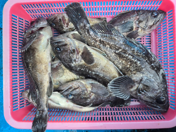
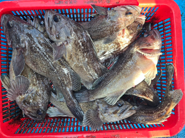
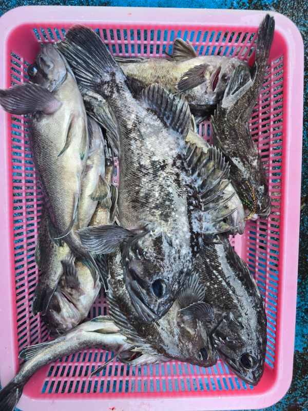
제목 : 12월2일 오전배 조황입니다
등록일 : 2025-12-02



수고하셨습니다~^♡^
1764655501998.jpg


1764655502606.jpg


1764655502473.jpg


20251202_105720.jpg


1764655503348.jpg


1764655819984.jpg


1764655836725.jpg


1764655821590.jpg


1764655502747.jpg


1764655501820.jpg


1764655501640.jpg


1764655503130.jpg


1764655830713.jpg


1764655502217.jpg


1764655832899.jpg


1764655844363.jpg


1764655865759.jpg


1764655853880.jpg


1764655845707.jpg


1764655856926.jpg


1764655859958.jpg


1764655848415.jpg


1764655842962.jpg


1764655858479.jpg


1764655861639.jpg


1764655855376.jpg


1764655849774.jpg


1764655851107.jpg


1764655847018.jpg



=== 오이도 빨강등대호 예약안내 ===


예약문의 : 010-7742-5288

오시는길 : 경기 시흥시 정왕동 2377 

홈페이지 : http://redlight.sunsang24.com/


모바일_1.jpg 


Top