조황관리HOME / 조황관리 / 상세정보

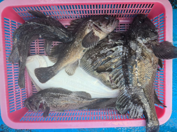
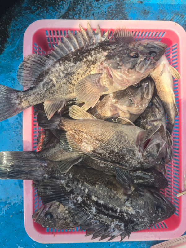
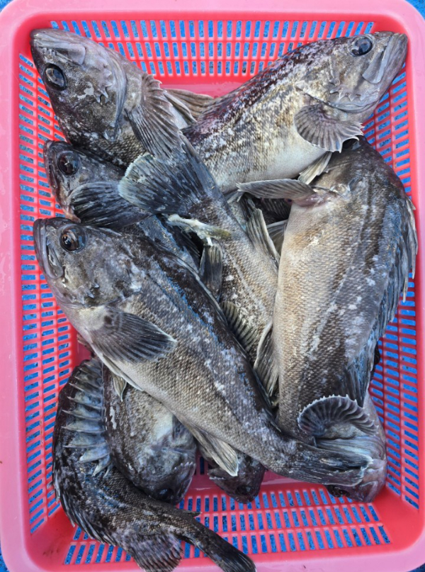
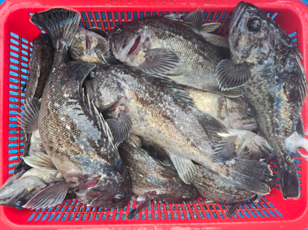
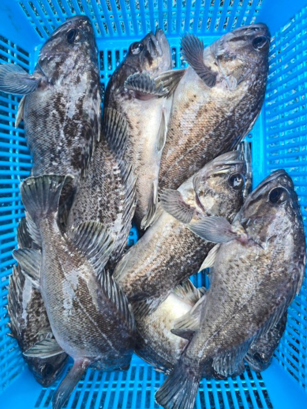
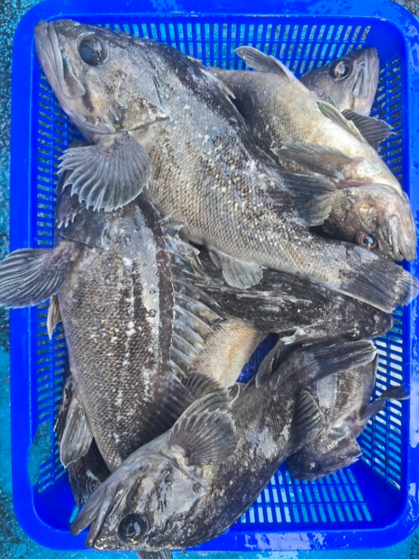
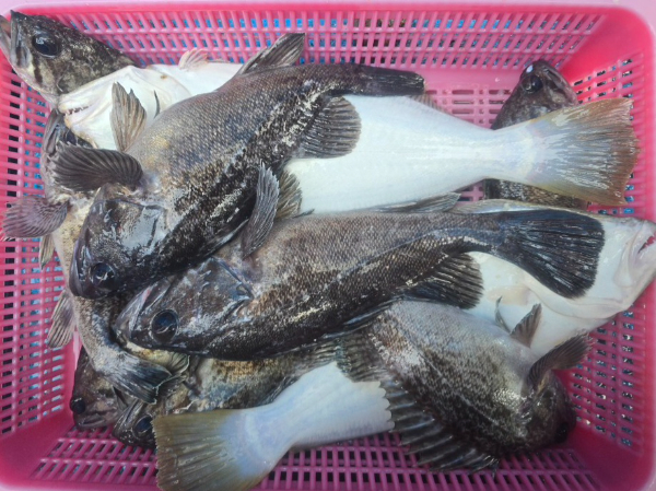
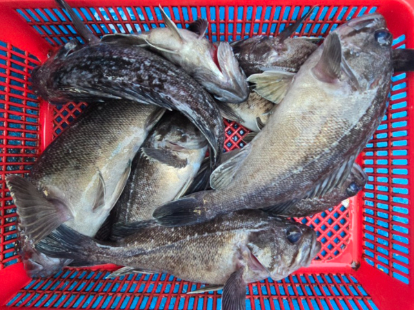
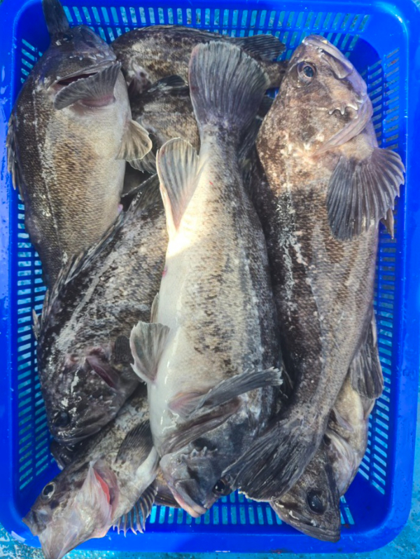
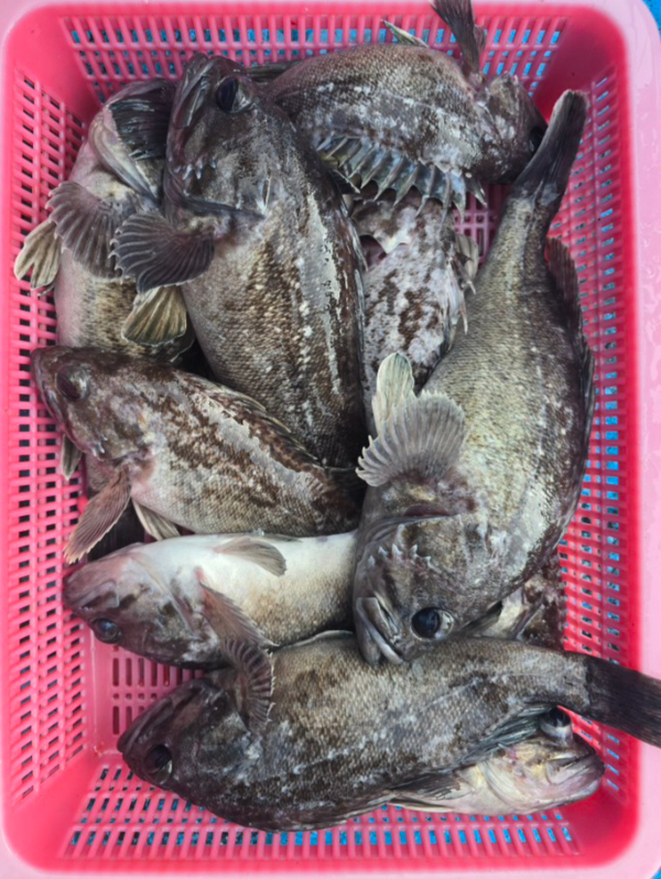
제목 : 11월30일 조황입니다
등록일 : 2025-11-30



수고하셨습니다~^♡^
1764493806123.jpg


1764493807732.jpg


1764493806250.jpg


1764493806310.jpg


1764493806185.jpg


1764493806951.jpg


1764493807219.jpg


20251130_110320.jpg


1764493806550.jpg


1764493805991.jpg


1764493807617.jpg


1764493806804.jpg


1764493807556.jpg


1764493806598.jpg


1764493806505.jpg


1764493806440.jpg


1764493807493.jpg


1764494501168.jpg


1764494501230.jpg


1764494500618.jpg


1764494500299.jpg


1764494500465.jpg


1764494501322.jpg


1764494500999.jpg


1764494500538.jpg


1764494500785.jpg


1764494500946.jpg


1764494501079.jpg


1764494500709.jpg



=== 오이도 빨강등대호 예약안내 ===


예약문의 : 010-7742-5288

오시는길 : 경기 시흥시 정왕동 2377 

홈페이지 : http://redlight.sunsang24.com/


모바일_1.jpg 


Top